First plat development Somers has approved in decades takes step forward

A residential subdivision in the village of Somers — described by local officials as the first plat development approved in decades — is moving forward.

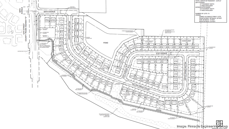
Somers Creek, a 73-lot single-family housing development between Pike Creek and Highway 31, received a favorable recommendation on its final plat from the village Plan Commission late last year and is headed to the Village Board for final action next week.

In the works since 2018, the 43-acre project from Kenosha-based Bear Development proposed new housing within a tax incremental financing district that encircles farmland southeast of Foxconn Technology Group’s Mount Pleasant campus.

Plans originally included 41 single-family homes and 312 apartments across several two-story buildings on land already owned by Bear. The company later presented a version to the city showing a mix of single-family homes and owner-occupied duplexes.

Now, the company is proceeding with an amended site plan for 73 single-family homes with an average lot size of 13,882 square feet.

The project, originally dubbed Willow Creek, would be renamed Somers Creek.

Read more at the Milwaukee Business Journal.

Go Back